로그인

간편회원은 볼 수 없습니다.
회원정보를 입력해주세요.

회원정보 수정
  • 매물검색
  • 상세검색
신고하기

매물 번호 : 10479

상세설명

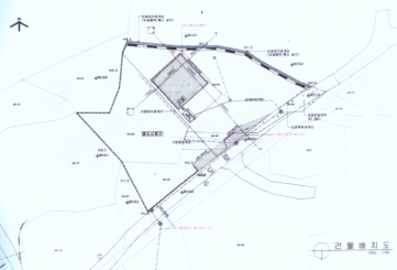
  • 대지 227평 단독 대지
  • 2종근린생활시설 허가 득
  • 11톤 차량 진입 가능
  • 토목 완료
  • 시세대비 저렴한 매매가격

 

  • 매매금액
  • 3억 4천만원 

 

 하성면 양택리에 위치한 토지 매매 입니다.

 대지 227평 

 

 제조장(2종근생) 허가 득한 토지 입니다.

 현재 토목공사 까지 완료한 상태로

 건물만 지으면 되는 토지 입니다.

 

 현재 시세보다 저렴한 평당 150만원으로 

 급매로 나와 있는 물건입니다.

 

 건물 건축까지 원할시에는 평당 220만원 입니다.

 더 궁굼하신점 있으시면 언제든 편하게 연락

 주시기 바랍니다~

 

 

 

 

 

 

 

 

 

 

 

 

 

 

 

가온부동산

경기도 김포시 대곶면 율마로 7(율생리 431-6)
대표자 김성무
부동산등록번호 3652-3401
전화 031-989-0098
연락처를 남겨주시면 연락드리겠습니다.
개인정보 수집이용 동의 [보기]
  • 자료가 없습니다.
  • 자료가 없습니다.

인근 매물

부정클릭 감시중